Acreage Strathcona Road, Rte 312 Five Houses, Prince Edward Island C0A 2A0

Acreage

$79,900

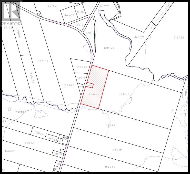
Prime 19+ Acre Property - ?Endless Potential"! Discover the incredible value of this expansive 19+ acre property, ideally situated on a paved road. Currently being farmed, this land offers a fantastic opportunity for future development, as it can be subdivided into lots with no restrictive covenants and has over 1200 ft of road frontage. Whether you are looking to build your dream home with ample space for privacy or seeking an investment with subdivision potential, this property has it all. Enjoy the freedom to create your vision while still having land to sell. A rare find - don't miss out on this exceptional opportunity! (id:56351)

Property Details

MLS® Number 202502897
Property Type Vacant Land
Community Name Five Houses
Easement None
Features Rolling

Building

Utility Water None

Parking

None

Land

Access Type Year-round Access
Acreage Yes
Land Disposition Cleared
Sewer No Sewage System
Size Irregular 19.76
Size Total 19.76 Ac|10 - 49 Acres
Size Total Text 19.76 Ac|10 - 49 Acres

https://www.realtor.ca/real-estate/27915062/acreage-strathcona-road-rte-312-five-houses-five-houses

Contact Us

Contact us for more information

Generating Captcha