3875 Rte 17 Gaspereaux, Prince Edward Island C0A 1R0

Acreage

$75,000

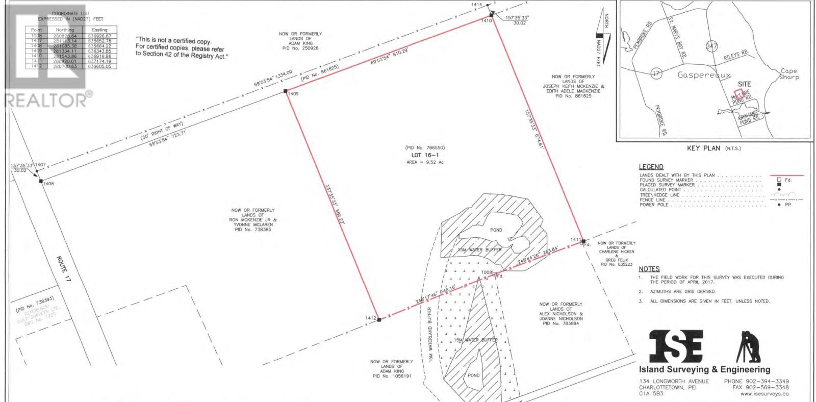
Welcome to 3875 RTE 17 in Gaspereaux, a stunning 9.66-acre parcel of land This beautiful property features a large steel outbuilding with an impressive concrete floor, perfect for storage, workshops, The land itself boasts a picturesque pond and a spacious clearing, providing a serene and versatile landscape for your dream project. Whether you're looking to build a private retreat, hobby farm, or simply enjoy the natural surroundings, this property offers the perfect canvas. Located just a short drive to nearby beaches and the town of Montague, you'll enjoy the tranquility of rural living with the convenience of nearby amenities. Don't miss out on this exceptional property?schedule your viewing today and explore the possibilities that await at 3875 RTE 17, Gaspereaux! (id:56351)

Property Details

MLS® Number 202422175
Property Type Vacant Land
Community Name Gaspereaux
Easement None
Features Treed, Partially Cleared

Building

Utility Water None

Land

Acreage Yes
Sewer No Sewage System
Size Irregular 9.5
Size Total 9.5 Ac|3 - 10 Acres
Size Total Text 9.5 Ac|3 - 10 Acres

https://www.realtor.ca/real-estate/27410400/3875-rte-17-gaspereaux-gaspereaux

Contact Us

Contact us for more information

Generating Captcha